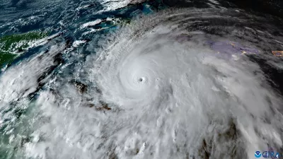
Melissa je v torek prizadela Jamajko kot orkan najvišje, 5. stopnje, z vetrovi do 295 kilometrov na uro. S tem je bil izenačen rekord iz leta 1935 za najmočnejši orkan, ki je dosegel kopno, kažejo podatki ameriške Nacionalne uprave za oceane in atmosfero (NOAA).

Na Jamajki, kjer je po zadnjih podatkih umrlo najmanj osem ljudi, so včeraj podali prve ocene škode po torkovem razdejanju. Premier Andrew Holness je opozoril na "popolno opustošenje" po celotni državi. Dodal je, da je bilo "uničenih 80 do 90 odstotkov streh," poškodovane so številne bolnišnice in druge javne stavbe ter urbana infrastruktura.

Workers clear downed trees and debris to make way for a convoy carrying aid to Black River, which was hit by Hurricane Melissa, as it moves through Holland Bamboo, Jamaica, Wednesday, Oct. 29, 2025. (AP Photo/Matias Delacroix)

Delavci čistijo podrta drevesa na Jamajki. Foto: AP

Jamajški minister za promet Daryl Vaz je dejal, da so dve letališči na otoku v sredo odprli za evakuacijske lete. Državni sekretar ZDA Marco Rubio pa je na omrežju X zapisal, da na Karibe pošiljajo reševalne ekipe, medtem ko so tudi agencije ZN in dobrodelne organizacije pripravljene na dostavo pomoči.

Jamajka pred in po orkanu: 

Ko je orkan prešel Jamajko, je nekoliko oslabel in nadaljeval pot proti Kubi, njegove uničujoče posledice pa so občutile tudi države, ki niso bile neposredno na poti enega največjih orkanov v zgodovini Atlantika.

A person scoops water from the ground to lower the water levels, after floods caused by the outer bands of Hurricane Melissa killed several people, in Petit Goave, Haiti, October 29, 2025. REUTERS/Egeder Pq Fildor

Po orkanu na Haitiju. Foto: Reuters

Residents stand next to their house in the aftermath of Hurricane Melissa, in Santiago, Cuba, October 29, 2025. REUTERS/Norlys Perez

Ljudje stojijo poleg podrtih hiš na Kubi. Foto: Reuters

Na Haitiju je umrlo najmanj 25 ljudi, 18 jih pogrešajo, je sporočila agencija za civilno zaščito. S Kube pa so poročali o porušenih hišah, blokiranih gorskih cestah in odtrganih strehah. V zavetiščih je po evakuaciji ostalo več kot 700.000 ljudi. Najhujše razdejanje so zabeležili v zahodnem delu države.

Ameriški center za orkane je sinoči sporočil, da je Melissa oslabela v orkan 2. kategorije, s hitrostjo vetra do 177 kilometrov na uro, preden je ponoči prešla Bahame. Vlada je pred tem odredila evakuacijo šestih od več kot 700 otokov v državi. Z ogroženih območij so pred prekinitvijo letov evakuirali okoli 1500 ljudi.

Z vetrovi do 160 kilometrov na uro se orkan Melissa sedaj premika naprej prek Atlantika v smeri proti Bermudom.

Priporočamo